Tierheim Verlorenwasser

Tierheim Verlorenwasser

Problemfälle

ProblemfälleWieder einmal hatten wir eine Wagenladung mit Problemfällen beim Chirurgen in Berlin angemeldet.

Bei Rina war es uns relativ klar: ihre Kniescheibe bei einem Hinterbeinchen springt immer raus und muss operiert werden. Dr. Köhle bestätigte die Diagnose unserer Tierärztin. So kommt Rina also demnächst unter's Messer.

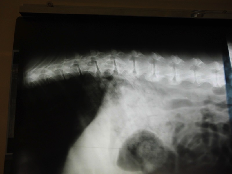
Bei Rolf gibt es leider keine Lösung. Er hat Spondylose, d.h. seine Wirbelsäule ist degenerativ verändert - leider im gesamten Verlauf. Rolf kommt damit klar. Er kann nur nicht mehr mit zu großen sportlichen Aktivitäten belastet werden.

Brody ist sehr aktiv und läuft auch öfter mit einem Gassigeher am Scooter. Wir glaubten, eine Unregelmäßigkeit beim Laufen bemerkt zu haben. Doch der Chirurg gab Entwarnung: Brody hat keinerlei Beschwerden.

Fjok lässt sich nicht gern ans Pfötchen fassen. Und auch im Genick darf man ihn nicht so ohne Weiteres berühren. Auch hier konnte der Tierarzt keine physischen Ursachen feststellen. Fjok mag es halt einfach nicht.

Lani stellten wir vor, weil wir dachten, sie hätte Schwellungen an ihren Beinen. Unsere Tierpfleger vermuteten Probleme mit den Karpalgelenken. Doch Lani hat einfach nur krumme Beinchen: ein bißchen Dackel, ein bißchen Corgie - und dann sieht es eben so aus, wie es aussieht. Auch Lani hat also keine Knochenkrankheit.

Von den fünf vorgestellten Hunden gibt es diesmal nur bei einem Handlungsbedarf. So waren vier umsonst zur Untersuchung - aber das ist uns allemal lieber, als wenn etwas unentdeckt bleibt.

Spendenkonto

Spendenkonto: 35  27 00 34 00
BLZ: 160 500 00
Mittelbrandenburgische Sparkasse

IBAN: DE 05160500003527003400
BIC: WELADED1PMB

Kontakt

Tierheim Verlorenwasser
Verlorenwasser 17
14806 Bad Belzig, OT Werbig

Tel.: 033 847 - 41 890

Spendenkonto

Spendenkonto: 35  27 00 34 00
BLZ: 160 500 00
Mittelbrandenburgische Sparkasse

IBAN: DE05 1605 0000 3527 0034 00
BIC: WELADED1PMB

Wir brauchen Ihre Hilfe,

denn wir erhalten keinerlei staatliche Hilfe, sondern finanzieren das Tierheim aus Spenden und Erbschaften.

Wir sind als gemeinnützig und besonders förderungswürdig anerkannt und dürfen Spendenbescheinigungen ausstellen.

Wir benutzen Cookies

Wir nutzen Cookies auf unserer Website. Einige von ihnen sind essenziell für den Betrieb der Seite, während andere uns helfen, diese Website und die Nutzererfahrung zu verbessern. Sie können selbst entscheiden, ob Sie die Cookies zulassen möchten. Bitte beachten Sie, dass bei einer Ablehnung womöglich nicht mehr alle Funktionalitäten der Seite zur Verfügung stehen.